Why the $65M Studebaker Road Transformation Project Is important for Long Beach
This article first appeared in LongBeachize. It is reprinted with permission.
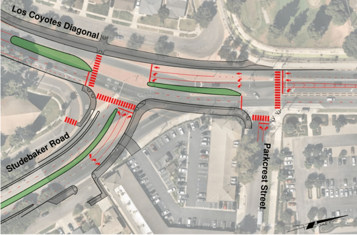
Stretching over five miles from 2nd Street to Carson Street, the $65M Studebaker Road Transformation Project has officially broken ground. And with that, it is set to become one of Long Beach’s most ambitious and meaningful infrastructure upgrades in decades. More than a facelift, it’s a rethinking of what a major corridor can be. Safer for people. Greener for the planet. And smarter for the city’s future.
For generations, Studebaker has acted as a barrier more than a bridge: Wide lanes. Speeding traffic. Uneven sidewalks… It all makes it a street people drove through, not one they drove along. This project flips that logic.

Guided by the City’s Safe Streets and Complete Streets initiatives, the redesign will narrow conflicts between cars, bikes, and pedestrians. It will (hopefully) lower speeds. And it will all be woven in greenery and gathering spaces. That means protected bike lanes. ADA-compliant sidewalks and ramps. Safer school crossings with flashing beacons and bulb-outs.
It’s the kind of street design that quite literally saves lives, particularly for the students and families who travel the corridor daily to places like McBride High School, Tincher Prep, and Cal State Long Beach.

Studebaker: A street soon to be for people—not just cars
This is Long Beach’s longest corridor transformation ever, and more than a dozen funding sources are powering it. From the Federal Highway Administration to local Measure M and Measure A dollars, it totals nearly $65M. The project will resurface the roadway, add fiber-optic infrastructure for faster digital connectivity, and plant over 100 new trees and 2,000 shrubs to cool the corridor and filter stormwater.

But it’s the street-level vision that makes it transformative. Along Loynes Drive, the existing bike lanes will evolve into Class IV protected bikeways, buffered by physical barriers rather than paint. North of 2nd Street, a new bi-directional Class I shared path will let cyclists and pedestrians move comfortably away from traffic. Bollard lighting will illuminate the route while minimizing light pollution near protected wetlands—proof that safety and sustainability can coexist.
This is what an urban future looks like when it prioritizes movement for all—students walking to school, seniors rolling to the library, cyclists commuting to work, families heading to El Dorado Park or 2nd & PCH.

Creating a corridor that connects rather than divide.
When construction wraps in late 2026, the Studebaker corridor will no longer be a line of separation but a living connector. With safer intersections, smart traffic signals, expanded bus shelters, and tree-lined medians, it will be a place where you can walk, ride, roll, or drive without fear of the 45-mph chaos that has long defined the route.
It’s also a model for what’s coming. As part of the City’s Elevate ’28 Infrastructure Plan, the project pairs beauty with practicality—reducing emissions, improving access, and physically linking key destinations like Long Beach City College, Cal State Long Beach, and Alamitos Bay.
Urbanist by design and humanist in execution, the Studebaker Road Transformation proves that the future of Long Beach mobility isn’t about moving faster—it’s about moving better.
Streetsblog has migrated to a new comment system. New commenters can register directly in the comments section of any article. Returning commenters: your previous comments and display name have been preserved, but you'll need to reclaim your account by clicking "Forgot your password?" on the sign-in form, entering your email, and following the verification link to set a new password — this is required because passwords could not be carried over during the migration. For questions, contact tips@streetsblog.org.